Náměstí Svobody v minulosti
Prostor náměstí Svobody je nerozlučně spjat s počátky lokace města Brna v 1. třetině 13. století a patřil vždy k jeho nejvýznamnějším místům. Zde se nacházely domy nejvýznamnějších měšťanů a soustřeďoval se zde hospodářský a společenský život města.
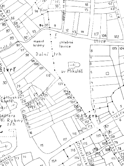
Nacházela se zde osada cizích kolonistů soustředěná v burgu kolem kostela sv. Jakuba. Ten byl farním pro německé a flanderské obyvatelstvo. Pro frankofonní obyvatele byla zřízena před rokem 1231 kaple sv. Mikuláše, která stála nepochybně od konce 13. století ve středu Dolního trhu (dnešní náměstí Svobody). Zatímco v jižní části města je doloženo předlokační osídlení již v 2. polovině 12. století, v severní části kolem kostela sv. Jakuba a náměstí Svobody se prostor konstituuje pravděpodobně až od počátku 13. století. Trojúhelníkový půdorys náměstí byl determinován rozdvojením dálkové komunikace jdoucí od jihu (dnes ul. Masarykova). Na západ vedla cesta k hradu Veveří, na východě to pak byla trasa Běhounské ulice (platea Cursorum) směřující na sever na Černou Horu, Svitavy a odtud do Čech.
Náměstí bylo již od 13. století nazýváno v opozici k Hornímu trhu (forum Superius; dnes Zelný trh) Dolní trh (forum Inferius). Později také německy Unterring (15. století), od 18. století Grosserplatz (Velké náměstí). Další vývoj názvu pokračoval až v průběhu 20. století (1915 – Kaiser-Franz-Josef-Platz, 1918 – náměstí Svobody, 1939 – Adolf Hitler Platz, 1942 – Viktoria-Platz, od roku 1945 náměstí Svobody). Od 14. století jsou doloženy čtyři městské čtvrti, z nichž tři zasahovaly do náměstí - Veselá, Běhounská a Měnínská.
Na základě topografických údajů pamětní knihy města Brna a některých daších indicií, byl na severní stranu náměstí situován průběh tzv. městského potoka, který měl na východě města vytékat Brankou z města a ústit v prostoru křižovatky Cejl – Koliště do Ponávky. Jeho existence se však především na základě zjištění archeologických výzkumů nepotvrdila.
Náměstí Svobody bylo dříve více uzavřeno do sebe. Všechna ústí ulic z něj vycházejících byla užší. Také uliční fronta náměstí Svobody byla zvláště při těchto ústích a na jihovýchodě předsunuta před dnešní fasády. Jak již bylo řečeno, na severu vycházely z náměstí dvě komunikace nadregionálního významu. Na západě Veselá, na východě Běhounská ulice. Mezi nimi, ve středu severní fronty náměstí z něj vycházela ulička Hřbitovní (Todtengäsl), spojující ho s kostelem sv. Jakuba. Na počátku 20. století zde byla stará zástavba zbourána a na jejím místě nově vystavěna široká třída, dnešní Rašínova ulice.
V ploše náměstí stál také výše zmíněný kostel sv. Mikuláše, který měl sloužit jako svatostánek pro kolonisty z francouzsky mluvících zemí. Později byly kolem něj vystavěny také krámky a městská strážnice. Roku 1760 bylo ke kostelu přistaveno barokní průčelí s věží a hodinami a vedle vystavěna městská váha. Kostel byl odsvěcen a uzavřen za josefínských reforem a stal se po roce 1787 vojenským skladištěm. Roku 1869 byly i okolní krámky a váha zbourány.
Dalším významným prvkem na náměstí byla Merkurova kašna vystavěná Ignácem Bendlem v letech 1693 – 1699 na místě starší kašny. Starý mariánský sloup v severozápadní části náměstí byl v letech 1679 - 1687 nahrazen novým, tzv. morovým sloupem. Na ploše náměstí se od středověku až do konce 19. století konaly velké výroční trhy a stávaly zde také chlebné i masné lavice. V blízkosti ústí Hřbitovní uličky stál také pranýř a studna. Roku 1903 byla celá plocha náměstí zadlážděna kostkami.
Pro rekonstrukci topografické situace náměstí ve 13. století postrádáme relevantní písemné prameny. První spolehlivější topografické údaje pochází až z poloviny 14. století z Pamětní knihy města Brna a berních rejstříků, které byly zpracovány O. Vičarem. Ten zde identifikoval pro polovinu 14. století celkem 36 hloubkově orientovaných městišť.
Pro další období není historická topografie jednotlivých domů zpracována. Pro dokreslení minulosti domovního bloku zde můžeme uvést pouze několik topografických údajů. Na náměstí si začaly postupně stavět své paláce především významné šlechtické rody, které později vystřídali v době industrializace obchodní podnikatelé a peněžní ústavy. Například na západním nároží Běhounské ulice a náměstí Svobody zaujímal od 17. století polohu výstavný barokní palác Mitrovských (nám. Svobody 6), západní nároží Hřbitovní uličky pak palác Lichtenštejnů. Na místě dnešní Komerční banky, která vznikla v letech 1930 – 1931, stál palác Kouniců (nám. Svobody 21). Od roku 1596 patřil dnešní tzv. Dům pánů z Lipé obchodníku s vínem Kryštofu Schwarzovi.
Většina historické zástavby na náměstí byla zničena v rámci asanace a nahrazena novostavbami. Pouze domy č. 1, 7, 8 a 17 skrývají starší, středověké konstrukce. Také spojenecké nálety na Brno v letech 1944 a 1945 poničily zástavbu, která musela být později demolována.
Nacházela se zde osada cizích kolonistů soustředěná v burgu kolem kostela sv. Jakuba. Ten byl farním pro německé a flanderské obyvatelstvo. Pro frankofonní obyvatele byla zřízena před rokem 1231 kaple sv. Mikuláše, která stála nepochybně od konce 13. století ve středu Dolního trhu (dnešní náměstí Svobody). Zatímco v jižní části města je doloženo předlokační osídlení již v 2. polovině 12. století, v severní části kolem kostela sv. Jakuba a náměstí Svobody se prostor konstituuje pravděpodobně až od počátku 13. století. Trojúhelníkový půdorys náměstí byl determinován rozdvojením dálkové komunikace jdoucí od jihu (dnes ul. Masarykova). Na západ vedla cesta k hradu Veveří, na východě to pak byla trasa Běhounské ulice (platea Cursorum) směřující na sever na Černou Horu, Svitavy a odtud do Čech.
Náměstí bylo již od 13. století nazýváno v opozici k Hornímu trhu (forum Superius; dnes Zelný trh) Dolní trh (forum Inferius). Později také německy Unterring (15. století), od 18. století Grosserplatz (Velké náměstí). Další vývoj názvu pokračoval až v průběhu 20. století (1915 – Kaiser-Franz-Josef-Platz, 1918 – náměstí Svobody, 1939 – Adolf Hitler Platz, 1942 – Viktoria-Platz, od roku 1945 náměstí Svobody). Od 14. století jsou doloženy čtyři městské čtvrti, z nichž tři zasahovaly do náměstí - Veselá, Běhounská a Měnínská.
Na základě topografických údajů pamětní knihy města Brna a některých daších indicií, byl na severní stranu náměstí situován průběh tzv. městského potoka, který měl na východě města vytékat Brankou z města a ústit v prostoru křižovatky Cejl – Koliště do Ponávky. Jeho existence se však především na základě zjištění archeologických výzkumů nepotvrdila.
Náměstí Svobody bylo dříve více uzavřeno do sebe. Všechna ústí ulic z něj vycházejících byla užší. Také uliční fronta náměstí Svobody byla zvláště při těchto ústích a na jihovýchodě předsunuta před dnešní fasády. Jak již bylo řečeno, na severu vycházely z náměstí dvě komunikace nadregionálního významu. Na západě Veselá, na východě Běhounská ulice. Mezi nimi, ve středu severní fronty náměstí z něj vycházela ulička Hřbitovní (Todtengäsl), spojující ho s kostelem sv. Jakuba. Na počátku 20. století zde byla stará zástavba zbourána a na jejím místě nově vystavěna široká třída, dnešní Rašínova ulice.
V ploše náměstí stál také výše zmíněný kostel sv. Mikuláše, který měl sloužit jako svatostánek pro kolonisty z francouzsky mluvících zemí. Později byly kolem něj vystavěny také krámky a městská strážnice. Roku 1760 bylo ke kostelu přistaveno barokní průčelí s věží a hodinami a vedle vystavěna městská váha. Kostel byl odsvěcen a uzavřen za josefínských reforem a stal se po roce 1787 vojenským skladištěm. Roku 1869 byly i okolní krámky a váha zbourány.
Dalším významným prvkem na náměstí byla Merkurova kašna vystavěná Ignácem Bendlem v letech 1693 – 1699 na místě starší kašny. Starý mariánský sloup v severozápadní části náměstí byl v letech 1679 - 1687 nahrazen novým, tzv. morovým sloupem. Na ploše náměstí se od středověku až do konce 19. století konaly velké výroční trhy a stávaly zde také chlebné i masné lavice. V blízkosti ústí Hřbitovní uličky stál také pranýř a studna. Roku 1903 byla celá plocha náměstí zadlážděna kostkami.
Pro rekonstrukci topografické situace náměstí ve 13. století postrádáme relevantní písemné prameny. První spolehlivější topografické údaje pochází až z poloviny 14. století z Pamětní knihy města Brna a berních rejstříků, které byly zpracovány O. Vičarem. Ten zde identifikoval pro polovinu 14. století celkem 36 hloubkově orientovaných městišť.
Pro další období není historická topografie jednotlivých domů zpracována. Pro dokreslení minulosti domovního bloku zde můžeme uvést pouze několik topografických údajů. Na náměstí si začaly postupně stavět své paláce především významné šlechtické rody, které později vystřídali v době industrializace obchodní podnikatelé a peněžní ústavy. Například na západním nároží Běhounské ulice a náměstí Svobody zaujímal od 17. století polohu výstavný barokní palác Mitrovských (nám. Svobody 6), západní nároží Hřbitovní uličky pak palác Lichtenštejnů. Na místě dnešní Komerční banky, která vznikla v letech 1930 – 1931, stál palác Kouniců (nám. Svobody 21). Od roku 1596 patřil dnešní tzv. Dům pánů z Lipé obchodníku s vínem Kryštofu Schwarzovi.
Většina historické zástavby na náměstí byla zničena v rámci asanace a nahrazena novostavbami. Pouze domy č. 1, 7, 8 a 17 skrývají starší, středověké konstrukce. Také spojenecké nálety na Brno v letech 1944 a 1945 poničily zástavbu, která musela být později demolována.
Exhumace ve Starovičkách
29. 04. 2026 Josef Kovář zobrazit
Ve čtvrtek 26. března 2026 proběhla za účasti
archeologa, soudního lékaře, notářky, zástupců římskokatolické
církve a dalších svědků odborná exhumace ostatků kněze P...


